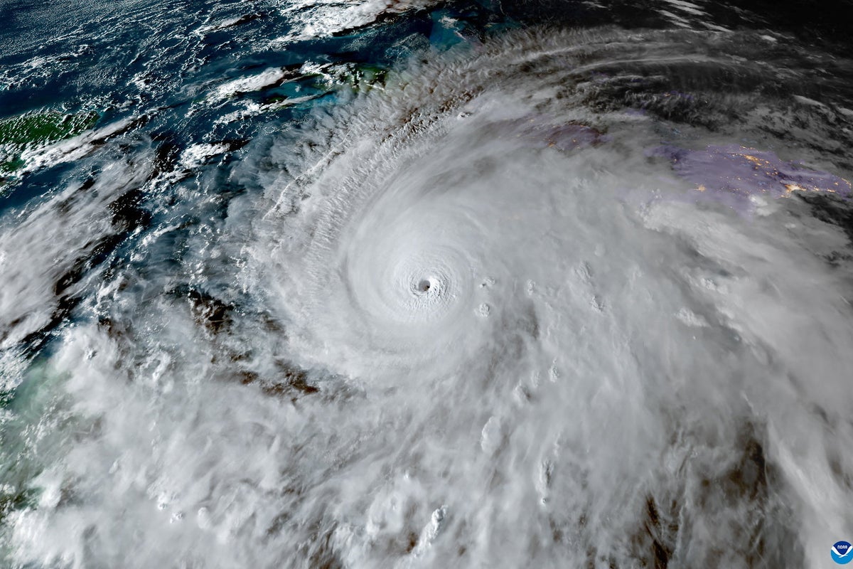
Increasingly warm oceans resulting from global warming are a key reason for Hurricane Melissa’s wind speed doubling in less than 24 hours over the weekend, climate scientists have said.

Increasingly warm oceans resulting from global warming are a key reason for Hurricane Melissa’s wind speed doubling in less than 24 hours over the weekend, climate scientists have said.